The LSU AgCenter will offer a two-part webinar series to help farm operators identify and address legal risks. The webinars are part of the LSU AgCenter Inspired by Annie’s project and are being organized in collaboration with the Louisiana office of the Natural Resources Conservation Service.
Read MoreCercospora leaf blight has been a bane to soybean farmers in the mid-South region of the United States for the better part of two decades, costing the industry more than $250 million in the past five years alone. Now, thanks to a three-year, $324,988 research grant from the National Institute of Food and Agriculture, LSU AgCenter plant pathologist Sara Thomas-Sharma and her team are trying to develop long-term solutions to the problem.
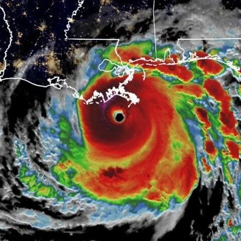
Read MoreSinging the blue tarp blues is no joke. If your home’s roof was damaged by Hurricane Ida, it doesn’t have to happen again. There are now roofing products and methods that can withstand a Category 4 hurricane.
The key is to specify the right types of products and installation methods, according to Claudette Hanks Reichel, LSU AgCenter housing specialist.
Read MoreLSU AgCenter agents are beginning the arduous task of damage assessment and recovery from Hurricane Ida.
Given the geographic area affected, the biggest economic impact is likely to be to agricultural infrastructure and timber, said Kurt Guidry, LSU AgCenter region director and agricultural economist. But sugarcane, livestock, soybeans, fruit and vegetable crops, and the horticulture industry also experienced losses.
Read MoreHurricane Ida cut a swath through southeast Louisiana leaving homes and businesses with damage and more without power. Homeowners who need guidance on cleaning up and making repairs following the storm can turn to information from the LSU AgCenter LaHouse Home and Landscape Resource Center.
Read MoreIn Louisiana, sugarcane farmers are busy planting their fields so they can turn their attention to the harvest, which begins next month. This year’s crop is a little short, which is causing farmers to use more cane for seed. Farmers are also watching the path of Ida. LSU AgCenter correspondent Craig Gautreaux has this report from south Louisiana.
Read MoreThey are more than halfway through the Louisiana rice harvest, and many producers are pleased with the results. Less-than-ideal growing conditions throughout the season had expectations low, but yields have been better than anticipated. LSU AgCenter correspondent Craig Gautreaux has the story from southwest Louisiana.
Read MoreThe Entomology Society of America recently recognized a handful of scientists, educators and students who have distinguished themselves through their contributions to entomology.
Among those was Dr. Blake Wilson of the Louisiana State University AgCenter, who received received the ECP Extension Award. It is given to a student transition or early professional who excels in entomological Extension.
Read MoreThe LSU AgCenter has received a federal grant for a series of webinars, workshops and farm tours to train new farmers, particularly in the areas of finance and marketing, to help make them more risk-resilient.
The Southern Extension Risk Management Education grant was from the U.S. Department of Agriculture. The amount was not reported.
Read MoreResearchers with the LSU AgCenter School of Renewable Natural Resources have found using drones equipped with thermal cameras is more effective and efficient in detecting duck broods than the traditional method of using ground surveys when observing nesting areas.
Brood surveys are used to estimate the productivity of ducks. However, ground surveys may underestimate productivity because ducks tend to seek shelter within the vegetation and are unobservable, according to Kevin Ringelman, a waterfowl ecologist in the school.
Read MoreThe LSU AgCenter and USDA’s National Institute of Food and Agriculture will be hosting a Grassfed Beef Production and Marketing Workshop November 16th from 9 AM to 4 PM at the Mega Shelter-Evacuation Center on Highway 71 in Alexandria.
Read MoreThe attached August 2021 Crop Market Update for Corn, Soybeans, Rice, and Cotton contains a discussion on the latest supply and demand dynamics. In the August WASDE report, there were several points of interest to the corn market, as traders anticipated two important supply-side variables: U.S. corn (and soybean) yields forecasts and the size of Brazil’s corn crop. The demand-side variables of interest include: U.S. corn export estimates, Brazil shortages in their corn supply, China’s corn import forecast, and renewable biofuel demand.
Read MoreSugarcane is a tall perennial grass of tropical origin that is cultivated for its ability to store sucrose in its stalks. Attempts to grow sugarcane in Louisiana began in the early 1700s. In the 1750s, the French Jesuits were among the first to successfully grow and harvest several crops of sugarcane at their New Orleans plantation. However, it was not until 1795 when Étienne de Boré, aided by experienced “sugar makers” from Haiti, successfully granulated about 100,000 pounds of sugar that Louisiana farmers recognized sugarcane as a potential cash crop.
Read MoreAs part of a $3.2 million grant project, LSU AgCenter researcher Zongliang “Carl” Jiang is studying the molecular mechanisms that regulate placenta development — and what role they play in early pregnancy loss — in both large animals and humans.
Read MoreLouisiana Crops Newsletter, August 2021
Read More